
Charakter
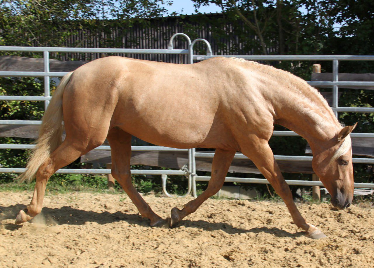
Wegen Bestandverkleinerung sucht dieser wunderschöne PRE Palomino Hengst ein neues Zuhause.
Natural ist 3,5 Jahre alt, aktuell ca. 1,63 m groß, mit einem geschätzten Endmaß von etwa 1,65 m.
Er ist in Deutschland gekört und überzeugt nicht nur durch seine besondere Farbe, sondern auch durch seinen tollen Charakter.
Charakterlich ist Natural ein sehr souveränes und unerschrockenes Pferd. Er kennt bereits sehr viel: Traktoren, Hunde, Kinder, Hühner und sämtliche Stall- und Umweltgeräusche – nichts bringt ihn aus der Ruhe.
Mit einer konsequenten, klaren Hand ist er absolut unkompliziert und macht alles brav mit.
Er wurde bereits am Boden und an der Longe gearbeitet und zeigt sich dabei motiviert, lernwillig und menschenbezogen. Ebenfalls hat er auch schonmal das Reitergewicht kennengelernt. Sobald das Wetter es zulässt, soll mit dem Einreiten begonnen werden, wofür er sich bereits jetzt sehr positiv anbietet.
Aufgrund seines Charakters, seiner Nervenstärke und seiner Arbeitsfreude können wir ihn uns besonders gut für die Working Equitation, aber auch für die Dressur, Show oder als vielseitigen Freizeitpartner vorstellen.
Gleichzeitig ist er als Palomino-Hengst und Sohn von Floc II auch hochinteressant für die Zucht.
Natural ist ein ehrliches, mutiges und verlässliches Jungpferd mit viel Potenzial und einem tollen Mindset – ein Pferd, das seinem Menschen gefallen möchte.
Bei ernsthaftem Interesse freuen wir uns sehr über Ihre Nachricht.
Standort: Deutschland
Ein Kennenlernen ist jederzeit nach Absprache möglich. Der Transport kann problemlos organisiert werden.
Bilder sagen mehr als tausend Worte
Lernen Sie unseren Natural in Bildern kennen









